Ricerca rapida
-
-
CERCA

Varzo
AMPIA VILLA CON GIARDINO, 2 APPARTAMENTI E GARAGE

Villa

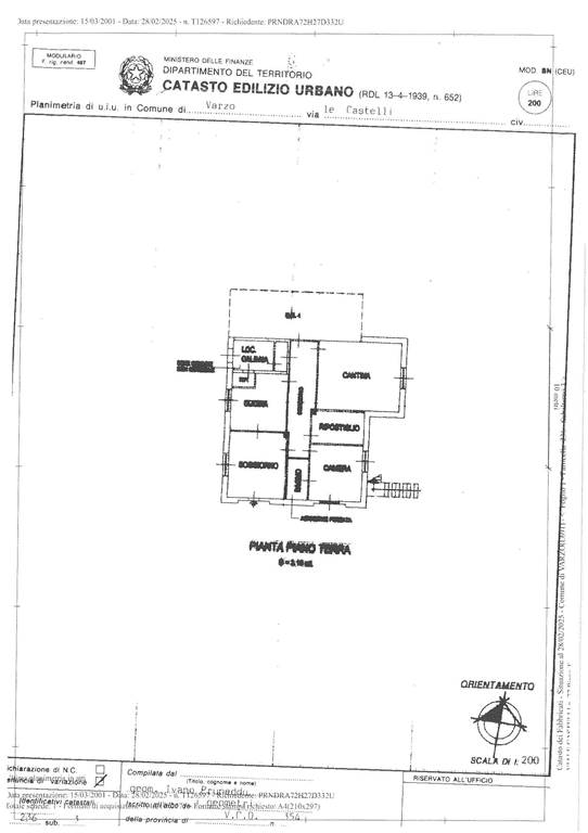
In centro Varzo si vende villa signorile, dallo stile unico, con bello spazio verde sul fronte, cortile e garage sul retro: disposta su 2 livelli più sottotetto, con già due appartamenti disponibili. L'abitazione principale si sviluppa su di un unico livello, quello di ingresso, dove si trova lo spazioso soggiorno, la cucina abitabile, tre camere, due bagni ed un locale ora adibito a lavanderia ma trasformabile in 4° camera. Una comoda scala porta al livello inferiore dove ci sono le cantine, il locale caldaia, una grande taverna con camino ed un altro appartamento realizzato più recentemente, composto da cucina, soggiorno, camera, bagno con doccia e ripostiglio. Questo appartamento gode di un altro accesso indipendente, direttamente dal cortile. Il sottotetto è sfruttabile e in ordine, luminoso, finestrato e si raggiunge tramite scaletta dal piano terra. Dal cortile si accede all'autorimessa molto spaziosa (circa 50 mq) con piccolo laboratorio e spazio esterno per l'orto. Un immobile veramente particolare, adatto a famiglie numerose o più nuclei. Condizione buone, parquet originali, caldaia a condensazione recentemente sostituita.
Per ulteriori informazioni o visite
0324262313 o mail a pianobi@pianobi.net

Caratteristiche

Codice
V000550
Prezzo
380.000,00 EUR
Mq
400
Classe
G (332,26 [kWh/m²a])
Locali
13
Camere
4
Bagni
4
Box
1
Mq Box
50
Posti auto
6
Mq Giardino
350
Mq Balcone
10
Stato Immobile
Buono
Grado
Signorile
Posizione
Centro
Panorama
Vista Aperta
Orientamento
Nord Ovest Sud Est
Lati Liberi
4
Giardino
Privato
Arredi
Possibilità
Tipo Soggiorno
Doppio
Tipo Cucina
Abitabile
Riscaldamento
Autonomo
Tipo Riscaldam.
Caldaia a Condensazione
Tipo Impianto
Radiatori
Fonte Energetica
Metano
Acqua Calda
Autonoma
Infissi
Legno Doppio Vetro
Serramenti
Buono
Persiana
Tapparella PVC
Pavim. Giorno
Parquet
Pavim. Notte
Parquet
Pavim. Cucina
Ceramica
Pavim. Bagno
Ceramica
Cantina - Solaio
Cantina
Accesso Disabili
Nessuna Barriera
Accesso interno disabili
Pieno accesso
Accessori
Doppi Vetri, Ripostiglio

MAPPA

Viale Castelli 89, Varzo (VB)
Cookie preference